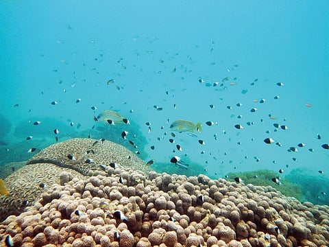
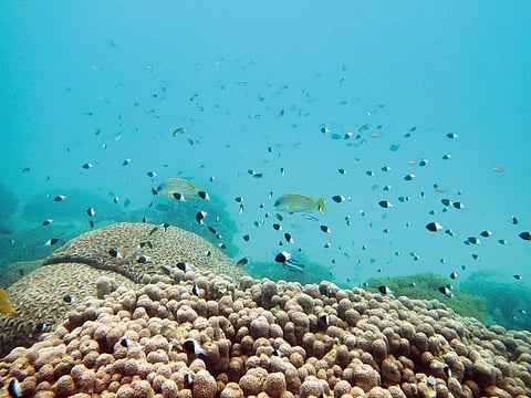
The treaty is seen as essential to conserving 30% of the world's land and ocean by 2030

Washington: For the first time, United Nations members have agreed on a unified treaty to protect biodiversity in the high seas, representing a turning point in a yearslong effort to bestow order on vast stretches of the planet where conservation has previously been hampered by a confusing patchwork of laws.
The U.N. Convention on the Law of the Sea came into force in 1994, before marine biodiversity was a well-established concept. The treaty agreement concluded two weeks of talks in New York.
An updated framework to protect marine life in the regions outside national boundary waters, known as the high seas, had been in discussions for more than 20 years, but previous efforts to reach an agreement had repeatedly stalled. The unified agreement treaty, which applies to nearly half the planet's surface, was reached late Saturday.
“We only really have two major global commons — the atmosphere and the oceans,” said Georgetown marine biologist Rebecca Helm. While the oceans may draw less attention, “protecting this half of earth’s surface is absolutely critical to the health of our planet."
Nichola Clark, an oceans expert at the Pew Charitable Trusts who observed the talks in New York, called the long-awaited treaty text "a once-in-a-generation opportunity to protect the oceans — a major win for biodiversity."
The treaty will create a new body to manage conservation of ocean life and establish marine protected areas in the high seas. And Clark said that's critical to achieve the U.N. Biodiversity Conference’s recent pledge to protect 30% of the planet’s waters, as well as its land, for conservation.
Treaty negotiations initially were anticipated to conclude Friday, but stretched through the night and deep into Saturday. The crafting of the treaty, which at times looked in jeopardy, represents “a historic and overwhelming success for international marine protection,” said Steffi Lemke, Germany's environment minister.
“For the first time, we are getting a binding agreement for the high seas, which until now have hardly been protected,” Lemke said. “Comprehensive protection of endangered species and habitats is now finally possible on more than 40% of the Earth's surface.”
The treaty also establishes ground rules for conducting environmental impact assessments for commercial activities in the oceans.
“It means all activities planned for the high seas need to be looked at, though not all will go through a full assessment,” said Jessica Battle, an oceans governance expert at the Worldwide Fund for Nature.
Several marine species — including dolphins, whales, sea turtles and many fish — make long annual migrations, crossing national borders and the high seas. Efforts to protect them, along with human communities that rely on fishing or tourism related to marine life, have long proven difficult for international governing bodies.
“This treaty will help to knit together the different regional treaties to be able to address threats and concerns across species' ranges,” Battle said.
That protection also helps coastal biodiversity and economies, said Gladys Martínez de Lemos, executive director of the nonprofit Interamerican Association for Environmental Defense focusing on environmental issues across Latin America.
“Governments have taken an important step that strengthens the legal protection of two-thirds of the ocean and with it marine biodiversity and the livelihoods of coastal communities,” she said.
The question now is how well the ambitious treaty will be implemented.
Formal adoption also remains outstanding, with numerous conservationists and environmental groups vowing to watch closely.
The high seas have long suffered exploitation due to commercial fishing and mining, as well as pollution from chemicals and plastics. The new agreement is about “acknowledging that the ocean is not a limitless resource, and it requires global cooperation to use the ocean sustainably,” Rutgers University biologist Malin Pinsky said.
Panama City: Delegates to a global conference on saving the world's oceans pledged $19 billion, the host country Panama said Friday.
The total included a $6 billion commitment from the United States, announced on Thursday by White House climate envoy John Kerry.
Panamanian deputy foreign minister Yill del Carmen Otero announced the total pledge figure at the two-day Our Ocean Conference before details emerged about the make up of specific offers.
The US package features 77 projects to protect the high seas in 2023.
Almost $5 billion of that will be dedicated to combatting climate change, the US Embassy in Panama said in a statement.
Of that amount, some $2.6 billion will be spent from Washington's Inflation Reduction Act to "develop lasting climate resiliency for marine resources and coastal communities," the embassy said.
Another $665 million has been assigned for sustainable fishing, more than $200 million to fund programs combatting pollution, $73 million for blue economy programs, $72 million to maritime security and $11 million for protected areas.
On Thursday, the European Union announced it would dedicate 816.5 million euros ($865 million) to ocean-related projects this year.
A large slice of the EU money - 320 million euros - would go towards research to protect marine biodiversity and address the impacts of climate change on the seas, while another 250 million euros would help launch the Sentinel-1C satellite to observe ice melt and monitor climate change effects.
Some 600 experts, government officials and philanthropists from around the world attended the conference.
Delegates do not adopt agreements but rather announce voluntary commitments to ocean protection.
Sign up for the Daily Briefing
Get the latest news and updates straight to your inbox