Brings up to 190km/h gusts, even as the island-nation reels from coronavirus

Highlights=
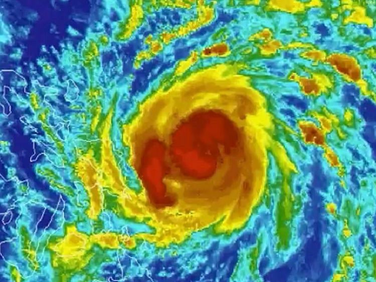
Typhoon Vongfong, called "Ambo" in the Philippines, is rapidly intensifying in the country's east, where it has already started hammering the eastern part of the island nation from Thursday (May 14).
The typhoon, which packs gusts of up to to 190 km/h, is expected to wreak havoc in the island of Luzon until Saturday (May 16).
The storm is seen triggering floods and landslides, as well as strong winds to parts of eastern Visayas, Catanduanes, Albay, Sorsogon, and Masbate, the Philippine Atmospheric, Geophysical and Astronomical Services Administration (Pagasa) warned.
The typhoon has hit land in San Policarpo, Eastern Samar at around 11am on May 14 and was seen moving towards the northern portion of the Samar province.
The eyewall of Typhoon Vongfong is bringing violent winds and heavy to intense rains over the northern portion of the main Eastern Samar island. The northern portion of Samar and southern portion of Northern Samar will be affected by the eyewall in the coming hours.
Heavy to intense rains over Samar Provinces, Masbate, Sorsogon, and Catanduanes. Moderate to heavy with at times intense rains over Albay, Camarines Sur, and the rest of Eastern Visayas.
Heavy to intense rains over Bicol Region. Moderate to heavy with at times intense rains over Northern Samar, Quezon, Aurora, Marinduque, and Romblon.
Residents in these areas are advised to take appropriate measures, coordinate with local disaster risk reduction and management offices, and continue monitoring for updates, especially the local rainfall or thunderstorm advisories and heavy rainfall warnings from PAGASA Regional Services Divisions (PRSD). Flooding and rain-induced landslides may occur in highly to very highly susceptible areas during heavy or prolonged rainfall.
Within 24 hours, storm surge of 2.0 to 4.0 meters may be experienced over the coastal areas of Northern Samar, Eastern Samar (east coast), Samar (west coast), Sorsogon, Albay, Catanduanes, Camarines Sur, Camarines Norte, Quezon, and Aurora. Along with large swells, this storm surge may cause potentially life-threatening coastal inundation.
Sea travel is risky for all types of seacrafts over the seaboards of areas under Tropical Cyclone Warning System (TCWS).
Moving West at 15 km/h.
Maximum sustained winds of 155 km/h near the center and gustiness of up to 190 km/h.
The Hawaii-based Joint Typhoon Warning Center is forecasting even further intensification over the next 24 hours. Vongfong is expected to reach Category 4 status with winds of 132 mph (212 km/h). That would also make it a super typhoon which would compound the knock-on effects of the pandemic on the island-nation.
Vongfong formed on Tuesday and rapidly intensified into a fierce pinwheel of a storm streaking toward the island nation. The US Joint Typhoon Warning Center in Hawaii said
The Phiippines already had a rough year, with a volcanic eruption in January and a climbing number of coronavirus cases. The approaching typhoon could pile up the country's troubles as it buffets the most populous island with heavy rain and strong winds towards the weekend.
In December, two typhoons battered the country – Kammuri on December 2-3 and Phanfone on December 24, 2019. Phanfone, known locally in the Philippines as Ursula, made landfall in the central part of the country, killing at least 16 people, damaging homes and tourist areas.
Typhoon Kammuri (locally named Tisoy) made 4 landfalls from December 2-3 in Sorsogon, Masbate, Marinduque and Oriental Mindoro, causing hundreds of flight cancellations and thousands of passengers stranded.
On Wednesday, Filipino weathermen have advised farmers to harvest their crops as soon as possible as Vongfong has already spun up from a weak tropical storm to a robust Category 2-equivalent storm in less than 24 hours.
As of late Wednesday night local time, the storm was packing sustained winds of 103 mph, according to the US Joint Typhoon Warning Center in Hawaii.
Vongfong, the Northern Hemisphere's first named storm, has undergone textbook rapid intensification, a meteorological process where typhoons see wind speeds increase, said weathermen.
The process occurs when tropical cyclones have access to a relatively calm atmosphere and hot water to feed off of. The latter is becoming more common as the climate crisis deepens, and rapidly intensifying storms are also becoming more common partly as a result.
"It has been intensifying rapidly and that is never good," said Bob Henson, a meteorologist with IBM Corp.'s Weather Underground. "There will be quite a bit of disruption and of course Covid complicates everything right now."
With top winds could reach 132 miles (212 kilometers) per hour by U.S. measurements, this would make Vongfong equivalent to a Category 4 hurricane on the five-step Saffir-Simpson scale, the typhoon-warning center said. Winds that strong will cause catastrophic damage, snapping trees, destroying roads and causing widespread power outages.
In addition, 10 to 20 inches (25 to 50 centimeters) of rain could trigger floods and mudslides, Henson said. The bright spot is that Manila will be about 100 miles from the center and, given the storm's rotation, will probably be spared the worst.
Although storms can happen at any time in the western Pacific, it is unusual that there haven't been any other named storms in the Northern Hemisphere so far this year, Henson said.
Meanwhile on the other side of the world, there's a 70% chance a low-pressure system will develop and grow into the Atlantic's first storm of the year, a full two weeks before the official start of the hurricane season there.
(With inputs from agencies)
Sign up for the Daily Briefing
Get the latest news and updates straight to your inbox
Network Links
GN StoreDownload our app
© Al Nisr Publishing LLC 2026. All rights reserved.