It is 'forecast to produce life-threatening storm surge, wind and rainfall'

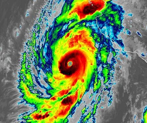
Mexico City: Hurricane Willa surged to a dangerous Category Four storm Sunday off Mexico's Pacific coast, US forecasters said.
"Extremely dangerous... Hurricane Willa continues to rapidly strengthen [and is] forecast to produce life-threatening storm surge, wind and rainfall over portions of southwestern and west-central Mexico beginning on Tuesday," the Miami-based National Hurricane Center warned.
The monster storm was 365 kilometres south-southwest of Cabo Corrientes, Mexico, packing top sustained winds of 220 kilometres per hour.
It was churning forward north-northwest, at a slow nine kilometers per hour, the forecast said.
"Additional strengthening is expected during the next day or so, and Willa is forecast to be a dangerous hurricane when it reaches the coast of Mexico," the NHC said.
Mexico's government has put various parts of the coast on alert.