The NHC forecast 'potentially catastrophic winds, a life-threatening storm surge'

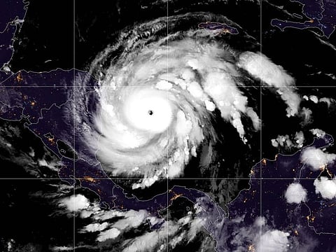
Bilwi, Nicaragua: Hurricane Iota rapidly strengthened into a "dangerous" Category Four as it headed towards Central America on Monday, the US National Hurricane Center warned, two weeks after powerful storm Eta devastated much of the region and left more than 200 people dead or missing.
Iota strengthened to a Category Four out of five on the Saffir-Simpson wind strength scale early Monday as it tracked westward over the Caribbean towards the Nicaragua-Honduras border.
It was packing maximum sustained winds of 145 miles (230 kilometers) per hour with higher gusts.
"Iota is forecast to be an extremely dangerous Category 4 hurricane when it approaches Central America," the Miami-based NHC said.
Moving slowly over the southwestern Caribbean Sea, the hurricane was forecast to pass near or over the tiny Colombian island of Providencia in the next few hours and hit northeastern Nicaragua and eastern Honduras late Monday.
The NHC forecast "potentially catastrophic winds, a life-threatening storm surge and extreme rainfall" for Central America as Iota became the year's 13th hurricane.
Honduras, Guatemala and Nicaragua announced evacuations last week, even as the region was still reeling from the devastation inflicted by Eta.
In the Nicaraguan coastal city of Bilwi, residents were desperately trying to secure the roofs of flimsy wooden homes with the same zinc sheets ripped off by Eta.
Many people were wrapping their belongings in plastic bags to protect them from the coming rains.
"We are worried, nervous. Psychologically we are not doing well, because losing our things and starting over is not easy. Some of us have old little houses and we risk losing everything," Silvania Zamora told AFP.
Authorities have ordered people to leave the area, but many are refusing to leave out of fear of catching Covid-19.
"Some of us prefer to stay and die in our homes. There has never been a repeat hurricane in such a short time, but what can we do against the force of God and nature," Zamora said.
Eta's heavy rains burst river banks and triggered landslides as far north as Chiapas, Mexico.
Initial estimates show "some 80,000 families are going to be at risk," said Guillermo Gonzalez, head of Nicaragua's disaster response agency Sinapred.
Evacuations were under way in communities along the border with Honduras, he said.
Authorities on Friday sent boats to evacuate the community in Cabo Gracias a Dios, where the Coco River flows into the Caribbean along the "Mosquito Coast."
The NHC warned that Iota would deposit as much as 16 inches (40 centimeters) of rain on Honduras, northern Nicaragua, Guatemala and southern Belize, with isolated totals of up to 30 inches.
"This rainfall would lead to significant, life-threatening flash flooding and river flooding, along with mudslides in areas of higher terrain," it said.
Authorities in Honduras on Friday ordered police and the army to evacuate the area of San Pedro Sula - the country's second city and industrial capital, located 110 miles north of Tegucigalpa.
Eta hit that area hard: About 40,000 people are still in shelters across the country.
The government also ordered water released from Honduras's main hydroelectric dam, due to danger of it overflowing from Iota's rains.
Guatemala's disaster management agency CONRED, meanwhile, called on residents in the north and northeast to voluntarily evacuate.
Eta hit the Caribbean coast of Nicaragua as a Category Four storm, one of the strongest November storms ever recorded.
Warmer seas caused by climate change are making hurricanes stronger for longer after landfall, scientists say.
This year's hurricane season has seen a record 30 named tropical storms across the Caribbean, Central America and the southeastern US.