DUBAI 37°C
GOLD/FOREX
PRAYER TIMES
NEWSLETTERS
LOGIN
GOLD/FOREX
DUBAI 37°C
PRAYER TIMES
Compiled by Jay Hilotin, Senior Assistant Editor
Articles from the author
Photos: Voting for UAE FNC election starts
Voters flock to polling centres early Wednesday alongside online polls
2m read
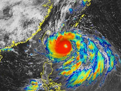
'Violent' super typhoon Hinnamnor: Sept. 2 updates
Supertyphoon packs winds of up to 241 km/h, heading toward southern Japan
2m read
Millionaires: Meet the latest Big Ticket winners
People who scooped mammoth prize money running into several million dirhams
2m read
UAE ancient sites: Priceless treasures of the past
Historically significant archaeological sites spread across the emirates
2m read
Abu Dhabi, Dubai among Top 5 cities for global talent
UAE cities among best destinations for foreign nationals to work: Survey
2m read
Signs of recovery amid spikes in COVID infections
Key policy decisions on vaccines crucial for a world raring to go back to 'old normal'
2m read
UPDATE
Vaccine: '90% effective, great day for public health'
Efficacy rate well above the 50% required by the US FDA
2m read
Billionaires who funded 2020 US election campaign
Bull market has created massive value for tech executives for the last 11 years
2m read
COVID-19 vaccine: 8 senior UAE officials immunised
Sheikh Mohammed is the latest UAE official to take the coronavirus vaccine
2m read
20 reasons to swing through Ras Al Khaimah, UAE
What to expect: From the country's highest restaurant to the world's longest zipline
2m read
Saudi sites you must see: Top places to visit
Tourism sector to lead Kingdom's post-COVID economic recovery
2m read
TRENDING STORIES